Oznaka: Amerika
Bukvalno ostao bez gaća! Prava istina o čovjeku koji je oteo palicu policiji, pa ih pretukao VIDEO
29.08.2020. | 13:37Na ulicama Amerike vodi se pravi rat.
Sav sport je stao u Americi: Ne igra ni Novak Đoković
27.08.2020. | 09:48Novak Đoković neće u četvrtak igrati polufinale Sinsinatija u Njujorku protiv Roberta Bautiste Aguta.
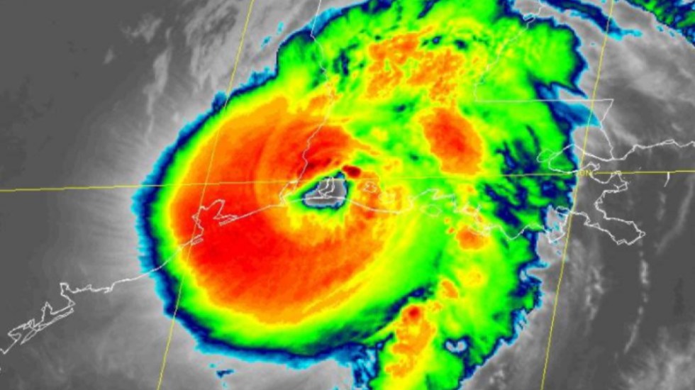
Opasan uragan pogodio Ameriku VIDEO
27.08.2020. | 09:41Uragan Laura sa udarima vetra od 240 kilometara na čas protutnjao je rano jutros jugozapadnom obalom američke države Luizijane blizu granice sa Teksasom.
Amerika ponovo na nogama zbog policijske brutalnosti, Tramp šalje federalne snage u Viskonsin
26.08.2020. | 22:57Postupanje policije prema Afroamerikancima ponovo je izvelo Amerikance na ulice. U američkoj državi Viskonsin treći dan zaredom održavaju se protesti zbog policijske intervencije tokom koje je ranjen …
Amerika se revanšira Evropi na Kosovu: „Spektakularan rezultat“ će brzo da odjekne VIDEO
25.08.2020. | 21:31Susret delegacija Beograda i Prištine u Vašingtonu 4. septembra neka je vrsta revanša Amerike Evropi s porukom da SAD ostaju nezaobilazni činilac u rješavanju poslova u ovom dijelu svijeta. I zato rez…
“Ima ‘osam rupa’ u tijelu”: Ispovijest oca mladića na koga je pucala policija s leđa VIDEO
25.08.2020. | 18:20Otac Afroamerikanca Džejkoba Blejka, na kojeg je policija pucala u gradu Kenoša u saveznoj američkoj državi Viskonsin, kaže da je njegov sin paralizovan od struka na dole.
Uznemirujuće scene u Americi: Policija pucala u Afroamerikanca, građani izašli na proteste VIDEO
24.08.2020. | 08:02U gradu Kenosha u američkoj saveznoj državi Viskonsin policija je, reagujući na dojavu o porodićnom nasilju, pucala na jednog Afroamerikanca, koji je ranjen te je sa povredama opasnim po život preveze…
Trampova “kosovska bitka”: Propast projekta lažne države usred Bijele kuće
23.08.2020. | 21:51Sama činjenica da se 12 godina od jednostranog i bespravnog proglašenja nezavisnog Kosova čak i predsjednik Amerike uključuje u razgovore Beograda i Prištine, dokazuje da je projekat nasilnog cijepanj…
Nastavljaju se obračuni vatrenim i hladnim oružjem: U muškarca ispaljeno čak 10 metaka
17.08.2020. | 08:08Petoro ljudi je ranjeno, među njima troje tinejdžera u pucnjavi u Filadelfiji.
Ovo ne smijete da radite! Žena pomiješala dva sredstva za čišćenje i ugušila se
16.08.2020. | 15:44Jedna žena iz SAD ugušila se nakon što je pomiješala izbjeljivač sa sredstvom za čišćenje kupatila.
Učešće na “najčudnijem” US Openu: Najbolji srpski teniser Novak Đoković otputovao u Ameriku
16.08.2020. | 12:37Najbolji srpski teniser Novak Đoković otputovao je u Sjedinjene Američke Države, gdje će učestvovati na “najčudnijem” US Openu i Sinsinati Mastersu.
EU ne priznaje američke sankcije protiv „Sjevernog toka 2“
12.08.2020. | 22:50Američke sankcije protiv gasovoda „Sjeverni tok 2“ krše međunarodno pravo, izjavila je predstavnica evropskog komesara za energetiku Kadri Simson.
